Koord. 750505 / 264585
Parzellen-Nr. 2102

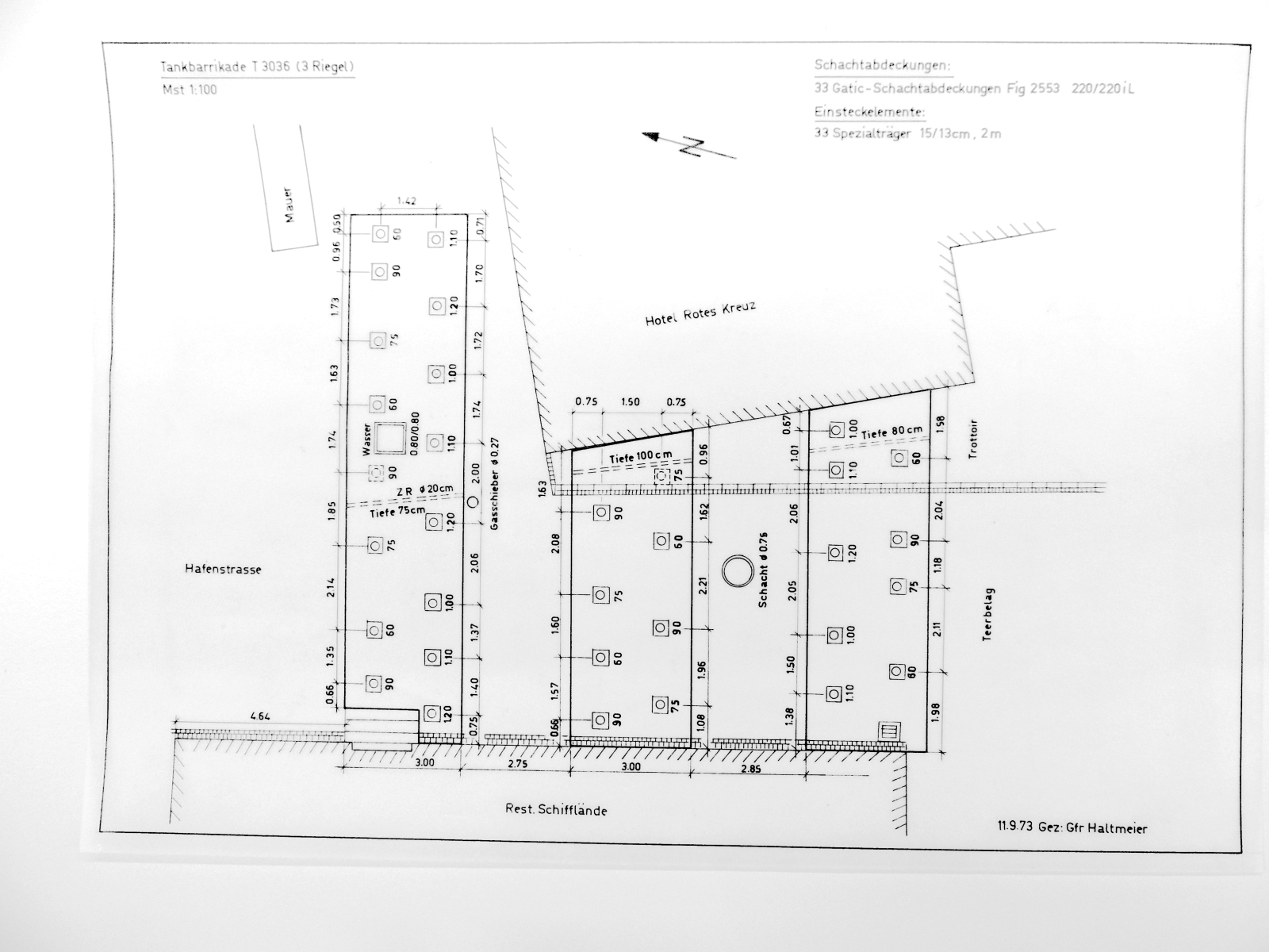
T 3036 Tankbarrikade Hafenstrasse
Tankbarrikade bestehend aus 3 Riegeln mit total 33 Schächten (Gatic-Schachtabdeckung). Riegel Süd mit 9 Schächten, Riegel Mitte mit 8 Schächten, Riegel Nord mit 16 Schächten. Einsteckelemente: Spezialträger 15 / 13 cm, 2 m lang. Das Sperrmaterial war in TB-Magazin B9194 eingelagert.
| Baugeschichte: | |
| 15. Sept. 1966 | Situationsplan Neue DIN-Trägersperre in Arbon. |
| 1973 | Nachtragskreditbegehren für 2 TB und 1 TB-Mag: von 62’300.- auf 79’800.- |
| 11. Sept. 1977 | Situationsplan |
| 31. Dez. 1992 | Anlage aufgehoben |
| 1994 | Abbruchplanung für Detailakten |
